Strongest Hurricane Ever: Record Low Pressure Explained

A.Manycontent 95 views
Strongest Hurricane Ever: Record Low Pressure Explained

Strongest Hurricane Ever: Record Low Pressure Explained

Hey guys! Ever wondered about the most intense hurricane ever recorded? We’re diving deep into the world of extreme weather to uncover which storm holds the title for the lowest central pressure . This isn’t just about bragging rights for Mother Nature; it’s a crucial measurement that tells us a whole lot about a hurricane’s power. So, let’s get into it and explore what makes a hurricane the “strongest” and which one truly takes the crown.

Understanding Hurricane Strength

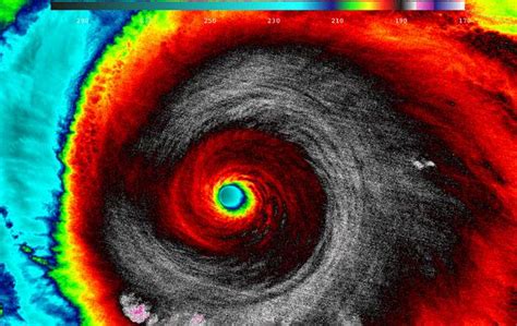
When we talk about hurricane strength, there are a few ways to measure it. You’ve probably heard of the Saffir-Simpson scale, which classifies hurricanes from Category 1 to Category 5 based on their sustained wind speeds. But there’s another critical factor: central pressure. The central pressure is the atmospheric pressure at the very center of the hurricane. The lower the pressure, the more intense the storm. Think of it like this: a really low central pressure indicates a deeper and more powerful vacuum, sucking in air at a faster rate, which in turn creates stronger winds. This is why meteorologists often look at central pressure as a key indicator of a hurricane’s overall strength and potential for damage.

Now, why is low pressure so important? Well, the pressure gradient—the difference in pressure between the center of the storm and its surroundings—determines how fast the air rushes towards the center. A greater pressure difference means stronger winds. These intense winds can cause catastrophic damage, from ripping apart buildings to uprooting trees. Additionally, a lower central pressure often correlates with a higher storm surge. Storm surge is the abnormal rise of water levels during a hurricane, and it’s one of the most dangerous aspects of these storms. The combination of strong winds and high storm surge can lead to widespread flooding and devastation in coastal areas. So, when you hear about a hurricane with a record-low central pressure, it’s a serious cause for concern, indicating an exceptionally powerful and destructive storm. It’s not just about the numbers; it’s about understanding the potential impact on communities and the environment.

The Record Holder: Typhoon Tip

So, which hurricane (or typhoon, since we’re talking about the Western Pacific) holds the record for the lowest central pressure ever recorded? The title goes to Typhoon Tip , a monstrous storm that churned through the Western Pacific Ocean in October 1979. This beast of a storm achieved a mind-blowing central pressure of just 870 millibars (or 25.69 inches of mercury). To put that into perspective, normal atmospheric pressure is around 1013 millibars. Typhoon Tip’s central pressure was significantly lower , making it the most intense tropical cyclone ever documented.

Typhoon Tip wasn’t just a pressure record-holder; it was also a massive storm in terms of physical size. At its peak, it had a diameter of over 1,380 miles (2,220 kilometers), making it the largest tropical cyclone on record as well. That’s nearly half the size of the United States! The storm’s immense size and incredibly low pressure combined to generate sustained winds of up to 190 miles per hour (305 kilometers per hour), making it a Category 5 equivalent on the Saffir-Simpson scale. While Typhoon Tip fortunately weakened before making landfall in Japan, it still caused considerable damage and loss of life. The storm brought heavy rainfall and flooding to the region, resulting in widespread destruction of crops and infrastructure. The impact of Typhoon Tip serves as a stark reminder of the sheer power and potential devastation that these extreme weather events can unleash. Studying storms like Typhoon Tip helps scientists better understand the dynamics of hurricanes and improve forecasting models, ultimately helping to protect communities from future disasters. Guys, this is why understanding these records isn’t just about trivia; it’s about saving lives.

Why Such Low Pressure?

What allowed Typhoon Tip to reach such incredibly low pressure? Several factors came into play. Firstly, the sea surface temperatures in the Western Pacific were exceptionally warm at the time. Hurricanes feed off warm water, which provides the energy they need to intensify. The warmer the water, the more energy available to the storm, and the lower the central pressure can potentially drop. Secondly, the atmospheric conditions were also highly favorable. There was very little wind shear, which is the change in wind speed or direction with altitude. High wind shear can disrupt the structure of a hurricane and prevent it from strengthening. In the case of Typhoon Tip, the lack of wind shear allowed the storm to develop and maintain its symmetrical shape, further contributing to its intensification. Additionally, the storm was located in an area with high levels of atmospheric moisture. Moisture is another key ingredient for hurricane development, as it provides the fuel for the storm’s thunderstorms. The combination of warm water, low wind shear, and abundant moisture created the perfect conditions for Typhoon Tip to reach its record-breaking intensity. These factors are all interconnected, and when they align in just the right way, they can lead to the formation of extraordinarily powerful hurricanes. Studying these conditions helps meteorologists identify areas where hurricanes are likely to intensify rapidly, allowing for more accurate forecasts and timely warnings.

Other Notable Hurricanes with Low Pressure

While Typhoon Tip holds the record, several other hurricanes have also reached incredibly low central pressures. Hurricane Patricia , which struck Mexico in 2015, had a central pressure of 872 millibars, making it the second-most intense tropical cyclone ever recorded in the Western Hemisphere. Patricia was also one of the fastest-intensifying hurricanes on record, going from a tropical storm to a Category 5 hurricane in just 24 hours. Hurricane Wilma , which ravaged the Caribbean and Florida in 2005, reached a central pressure of 882 millibars, making it the most intense hurricane ever recorded in the Atlantic basin. Wilma caused widespread damage and flooding, particularly in the Yucatan Peninsula and South Florida. Other notable hurricanes with low central pressures include Super Typhoon Haiyan (2013), which devastated the Philippines, and Hurricane Gilbert (1988), which caused widespread damage in the Caribbean and Mexico. These storms serve as a reminder that while Typhoon Tip holds the record, many other hurricanes have come close to reaching similar levels of intensity. Each of these storms had unique characteristics and impacts, but they all share the common trait of exceptionally low central pressure, which is a hallmark of their extreme power. Studying these intense hurricanes helps scientists better understand the factors that contribute to their development and improve forecasting models, ultimately helping to protect communities from future disasters.

The Future of Hurricanes

With climate change, scientists are projecting that hurricanes, on average, will become more intense in the future. Warmer ocean temperatures provide more energy for hurricanes to develop and intensify, potentially leading to lower central pressures and stronger winds. Sea level rise also exacerbates the impact of storm surge, making coastal communities even more vulnerable to flooding. While it’s difficult to predict exactly how climate change will affect individual hurricanes, the overall trend suggests that we can expect to see more intense storms in the years to come. This means that it’s more important than ever to understand the dynamics of hurricanes and improve our ability to forecast their intensity and track their paths. Investing in research and development of better forecasting models, as well as implementing adaptation measures to protect coastal communities, are crucial steps in mitigating the risks associated with these powerful storms. As we continue to grapple with the challenges of climate change, it’s essential to stay informed and take proactive steps to prepare for the potential impacts of more intense hurricanes. Guys, this isn’t just about the weather; it’s about our future and the safety of our communities.

Conclusion

So, to wrap things up, Typhoon Tip remains the champion with the lowest central pressure ever recorded. Understanding these extreme weather events helps us appreciate the awesome power of nature and the importance of being prepared. Stay safe out there, and keep an eye on the skies! Knowing about these record-breaking storms isn’t just for weather nerds; it’s vital for everyone to understand the potential risks and stay informed about how to protect themselves and their communities. From understanding the role of low central pressure to recognizing the factors that contribute to hurricane intensification, every bit of knowledge helps us better prepare for and respond to these powerful storms. So, keep learning, stay informed, and be ready for whatever Mother Nature throws our way. After all, being prepared is the best defense against the unpredictable forces of nature. And remember, guys, understanding the past helps us prepare for the future!