Track Hurricanes Live: NOAA Satellite Tracker Guide

A.Manycontent 13 views
Track Hurricanes Live: NOAA Satellite Tracker Guide

Track Hurricanes Live: NOAA Satellite Tracker Guide

Hey everyone! Ever wondered how meteorologists and storm chasers keep tabs on those massive hurricanes swirling in the ocean? Well, a major part of it is the NOAA Hurricane Center Satellite Live Tracker . In this article, we’ll dive deep into what this tool is, how it works, and why it’s so important for keeping us safe during hurricane season. Buckle up, because we’re about to explore the eye of the storm – metaphorically speaking, of course!

What is the NOAA Hurricane Center Satellite Live Tracker?

So, what exactly is this NOAA Hurricane Center Satellite Live Tracker? Basically, it’s a super cool system that uses data from satellites to monitor hurricanes in real-time. The National Oceanic and Atmospheric Administration (NOAA) uses a bunch of different satellites, like the GOES (Geostationary Operational Environmental Satellite) series, to constantly watch the Earth and its weather. These satellites have special sensors that can see things like cloud formations, sea surface temperatures, and wind speeds – all the key ingredients for tracking a hurricane. These satellites are positioned in space to give the NOAA Hurricane Center a complete and continuous view of the storms, helping them to predict a storm’s movement and intensity.

The data collected by these satellites is then beamed back to Earth, where it’s processed and analyzed by meteorologists at the NOAA’s National Hurricane Center. This information is combined with data from other sources, like weather buoys, aircraft, and radar systems, to create a comprehensive picture of the hurricane. All of this information helps forecasters make accurate predictions about where the hurricane is going, how strong it will be, and what areas are at risk. The live tracker is a constantly evolving resource, giving people all over the world up-to-the-minute updates on developing weather patterns. So, with this powerful tool, people can stay informed and prepared during hurricane season and throughout the year.

The NOAA Hurricane Center uses a variety of satellite imagery to monitor hurricanes. These include:

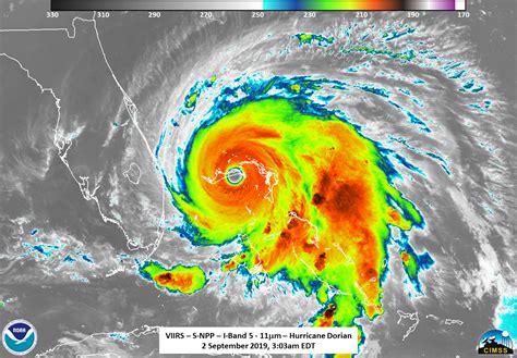
  • Visible Imagery: This is like a regular photograph of the storm, showing the cloud patterns and the shape of the hurricane. You can see the eye of the storm, the spiral bands, and the overall size.
  • Infrared Imagery: This shows the temperature of the cloud tops. Colder cloud tops indicate more intense thunderstorms, which can help meteorologists determine the strength of the hurricane.
  • Water Vapor Imagery: This shows the amount of water vapor in the atmosphere, which can help track the movement of the storm and predict where it’s likely to go.

By combining these different types of satellite imagery, meteorologists can get a complete picture of the hurricane and its potential impacts. This information is crucial for issuing timely warnings and keeping people safe.

How the Live Tracker Works: A Look Behind the Scenes

Alright, let’s get into the nitty-gritty of how this tracker actually works. It’s not just magic, folks; it’s a blend of cutting-edge technology and good old-fashioned science. First off, the satellites are constantly orbiting Earth, scanning the atmosphere and oceans. They’re equipped with specialized instruments that can detect different types of radiation, which provides data about cloud cover, temperature, and even wind patterns. This information is then sent back to ground stations, where it’s processed and analyzed.

The data is then fed into sophisticated computer models. These models use complex algorithms to predict the hurricane’s track, intensity, and potential impacts. Meteorologists review the model output, along with other information like radar data and reports from reconnaissance aircraft, to make the best possible forecast.

The live tracker itself is typically presented on a website or app. It shows a map of the hurricane’s current location, along with its predicted path and intensity. You can usually see a variety of data, like wind speeds, pressure, and potential rainfall. Some trackers even provide animated loops of satellite imagery, which allow you to see the storm’s movement over time. The information is updated frequently, often every few minutes, to keep users informed about the latest developments. This constant stream of data is what makes the NOAA Hurricane Center Satellite Live Tracker such a valuable resource during hurricane season and throughout the year.

The process involves several key steps:

  1. Data Collection: Satellites gather data on various atmospheric and oceanic conditions.
  2. Data Transmission: This information is sent down to Earth.
  3. Data Processing: Computers process the data to create images and other visualizations.
  4. Analysis: Meteorologists analyze the data and create forecasts.
  5. Dissemination: The forecasts and data are shared with the public via the live tracker.

Why the NOAA Tracker is a Crucial Tool

So, why should you care about this NOAA Hurricane Center Satellite Live Tracker? Well, it’s all about staying safe and informed. The primary reason is that it provides early warnings. The tracker gives people the time they need to prepare for a hurricane. By monitoring storms in real-time, the NOAA can issue warnings days in advance of a hurricane’s arrival. This is vital because it gives people time to evacuate, secure their homes, and stock up on supplies.

Another significant point is that it gives people the latest information . The tracker provides up-to-the-minute updates on a hurricane’s location, intensity, and predicted path. This allows people to make informed decisions about their safety and well-being. It also helps local officials and emergency responders to prepare for the storm and coordinate rescue efforts. Furthermore, the NOAA tracker helps to improve forecasting accuracy. By combining satellite data with other sources of information, the NOAA can make more accurate predictions about the hurricane’s behavior.

In addition to these direct benefits, the NOAA Hurricane Center Satellite Live Tracker also plays a crucial role in improving our understanding of hurricanes. By studying the data collected by satellites, scientists can learn more about how hurricanes form, how they intensify, and how they interact with the environment. This information can then be used to improve forecasting models and develop better strategies for mitigating the impacts of hurricanes.

Finally, the tracker helps save lives and protect property. By providing timely warnings and accurate information, the tracker helps to reduce the number of injuries and deaths caused by hurricanes. It also helps to minimize property damage by allowing people to take steps to protect their homes and businesses. With the help of the NOAA Hurricane Center Satellite Live Tracker, we can make sure people are as prepared as possible when these incredible weather phenomena strike.

Accessing the NOAA Hurricane Center Satellite Live Tracker

Alright, so how do you get your hands on this amazing tool? It’s easier than you might think! The NOAA provides access to its live tracker through its website. You can find it by searching for the